The Borough of Minersville is looking for sponsors for the American Flag and Military Service Flags at our Veterans Memorial Park. Flags can be sponsored by individuals or businesses. This is open to all who would like to honor veterans. It is not limited to Minersville area residents. Individual Flags at a cost of $60 per flag or all six (6) flags at a cost of $300.00. The flags will be flown for a three-month period and then be sent to the sponsor with a certificate stating when it was flown. The three-month period will be filled on a first-come-first serve basis.
Military Flag Sponsor Applications are available in DOCUMENTS>FORMS SECTION
MILITARY FLAG SPONSORSHIP FOR OUR VETERANS PARK

Thank you to our sponsors for helping to replace the flags every three months in the Veterans’ Park to honor all Veterans.
2025 |
February – April | May – July | August – October |
November – January |
| Air Force | SPONSORED | |||
| Army |
SPONSORED |
SPONSORED |
|
|
| Coast Guard |
SPONSORED |
|
|
|
| Marine |
SPONSORED |
SPONSORED |
|
|
| Navy |
SPONSORED |
SPONSORED |
SPONSORED |
|
|
United States |
SPONSORED | SPONSORED | SPONSORED |
SPONSORED |
Our dedication of our Veteran Memorial Park was held on November 11, 2019 at 11 a.m. There was a program to raise the flags honoring the Veterans who have served this country bravely.
Please Note:
In order to keep the concrete and brass medallions in good condition, we will be closing off the Veterans’ park during winter weather events. The finish on the concrete and the integrity of the brass medallions can be compromised with any maintenance on it.
Thank for your cooperation in this matter.
Original Home – prior to American Legion addition to the structure
Condition of the interior property when the building was acquired by the Borough in May 2016.
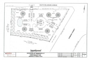
This is a conceptual site plan of the proposed Minersville Veterans Memorial Park.
The Public Property Committee is currently working with the Entech Engineering to finalize a construction plan for the park.
The approved plan view of the park is below:
The finished park project. Dedicated November 2019:






